备受瞩目的丽华苑小学迎来新进展。
10月28日,太原市行政审批服务管理局发布了《关于万柏林区丽华苑小学建设项目建设工程规划许可证的公告》(以下简称《公告》)。
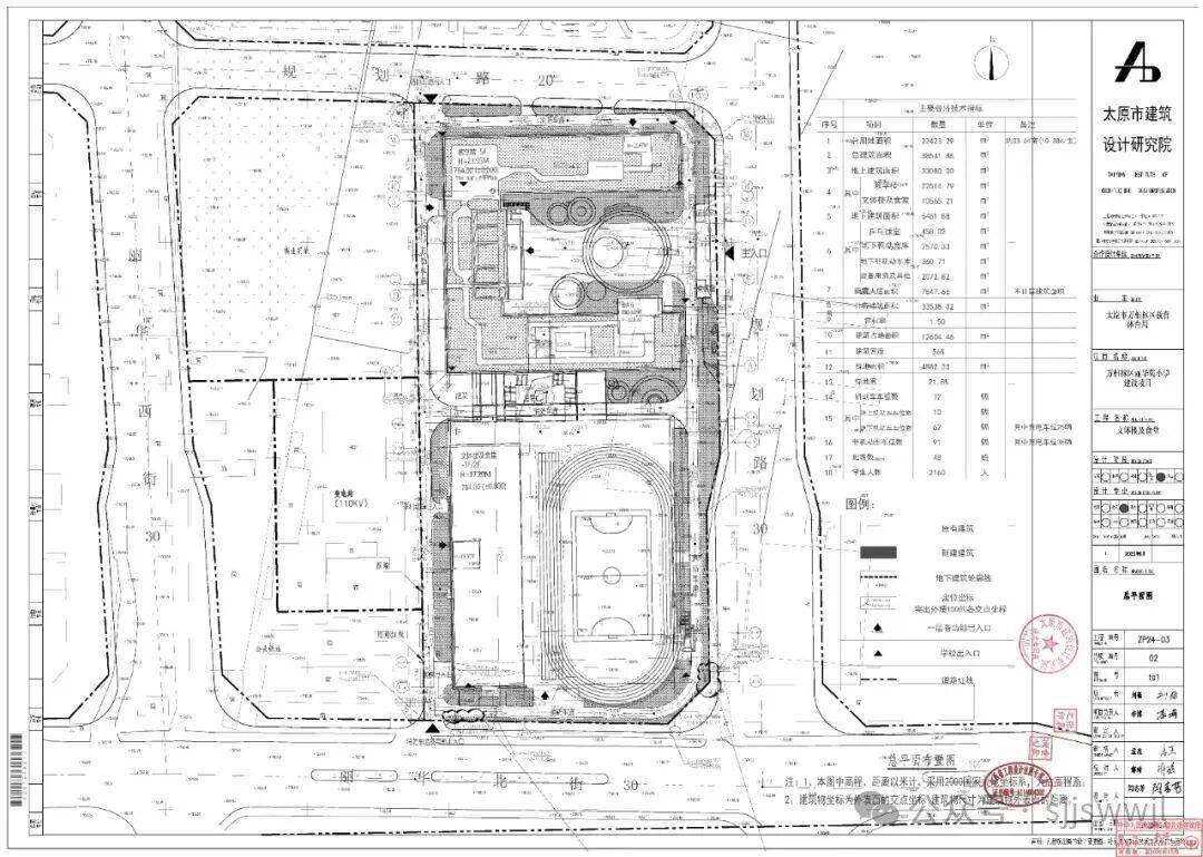
该《公告》显示,万柏林区丽华苑小学建设项目建设单位为万柏林区教育体育局,位于丽华西路以东、新庄北街以南、规划路以西、丽华北街以北,将建设5层教学楼,建筑面积达到21534.32平方米,以及2层文体楼及食堂,建筑面积达15960.75平方米。

01、丽华教育园区小学
事实上,今年3月开始,丽华苑小学建设项目便已开始规划。
3月28日,全国公共资源交易平台发布了《万柏林区丽华苑小学建设项目EPC总承包资格预审公告》,项目总投资约2.67亿元。
按照当时规划,丽华苑小学学校规模为小学8轨制,共48个教学班,包括教学楼和文体楼及食堂两栋建筑。教学楼为地上五层地下一层(地下一层为隔震层),文体楼及食堂地上两层地下二层(地下一层为隔震层,地下二层为车库、设备用房和室外运动场)。项目建设内容包含:教学楼和文体楼及食堂的土建工程、装饰工程、安装工程、设备购置安装工程及室外工程。
5月7日,太原市行政审批服务管理局发布了《关于万柏林区丽华苑小学建设项目建设用地规划许可证的公告》,其中明确用地单位为太原市万柏林区教育体育局,项目名称为万柏林区丽华苑小学建设项目,用地面积为27468.17平方米。
丽华教育园紧邻保利天悦、中海天钻,西南侧还有碧桂园丽华天境和融创学府壹号院。据2025年太原市万柏林区小学学区划分,上述小区业主适龄子女都安排在泰华实验小学。
02、丽华教育园区高中
自2020年开始,万柏林区引入山大附中等名校落户筹建丽华教育园区,配建涵盖小学、初中、高中的公办学校,与北师大等国内名校对接合作。
当年9月,太原市行政审批服务管理局网站发布了《关于万柏林区丽华实验中学、丽华实验小学选址意见的公示(2020年23号)》。据资料显示,项目拟址为街区编号WBL-05-07中004-1,其中中学总用地面积6.3公顷,小学总用地面积2.74公顷,建筑高度上限25米。
2024年3月18日,太原市公示了五中丽华校区选址公告,其中明确了五中丽华校区用地,一是WBL-05-07街区中004-1地块,占地52261.12平方米,二是用地为A33中小学用地,容积率≤1.0,建筑高度≤25米。

今年6月10日,太原市教育局发布了《太原市第五中学校丽华校区建设项目群众意见征询调查公示》,其中第五条建设规模显示,本项目建设用地性质为教育用地,规划用地面积52250.69平方米(约78.38亩)。学校规模为高中18轨,共54个教学班,并不包含初中。
注意到,目前太原的初中是划片摇号入学,而高中则是全市考试入学。